11. Änderung des Bebauungsplanes Nr. 9 „Auf dem Siegen“
27. Änderung des Flächennutzungsplanes
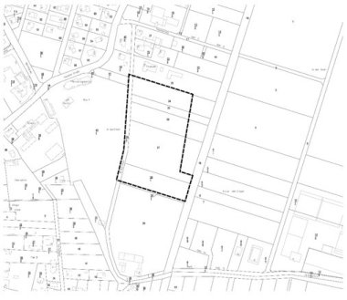
Gemarkung Zwesten
Aufstellungbeschluss und Öffentliche Auslegung gemäß § 3 (2) Baugesetzbuch (BauGB)
Beschluss
Die Gemeindevertretung der Gemeinde Bad Zwesten hat in ihrer Sitzung am 19.02.2025 die Aufstellung der 27. Änderung des Flächennutzungsplanes und die öffentliche Auslegung der Entwürfe des Bebauungsplanes Nr. 9 „Auf dem Siegen“, 11. Änderung und der 27. Änderung des Flächennutzungsplanes in der Gemarkung Zwesten beschlossen.
Ziel und Zweck der Planung
Als Ziel der Planung wird verfolgt, die planungsrechtlichen Voraussetzungen für die Entwicklung einer kleineren, gewerblich nutzbaren Fläche für den Neubau einer Halle für den kommunalen Bauhof und die gewerbliche Eigenentwicklung zu schaffen. Damit soll dem Bedarf kleinerer und mittlerer Handwerks- und Gewerbebetriebe über einen mittel- bis langfristigen Zeitraum entsprochen werden.
Umweltbericht und umweltbezogene Fachgutachten
Es liegen folgende umweltbezogene Informationen vor:
- Daten zu dem Naturraum aus dem Umweltatlas Hessen
- Daten zu dem Funktionserfüllungsgrad des Bodens aus dem Bodenviewer Hessen
- Daten zu dem Heilquellenschutzgebiet Alter Löwensprudel, Bad Zwesten und dem Heilquellenschutzgebietes Bad Wildungen aus dem Fachinformationssystem Grundwasser- und Trinkwasserschutz Hessen (GruSchu)
- Daten zu dem Naturpark Kellerwald-Edersee aus dem Naturschutzregister Hessen (NATUREG)
- Daten zu dem gesetzlich geschützten Biotop aus dem Naturschutzregister Hessen (NATUREG)
- Daten zu der potenziellen natürlichen Vegetation aus der Vegetationskarte der Bundesrepublik Deutschland
- Artenschutzrechtliches Fachgutachten mit Aussagen zu den prüfungsrelevanten FFH-Anhang IV-Arten und europäischen Vogelarten im Untersuchungsraum: Amsel, Bachstelze, Blaumeise, Bluthänfling, Buchfink, Dorngrasmücke, Elster, Feldsperling, Fitis, Gartenbaumläufer, Gartengrasmücke, Gartenrotschwanz, Girlitz, Goldammer, Grünfink, Habicht, Hausrotschwanz, Haussperling, Heckenbraunelle, Kohlmeise, Mäusebussard, Mehlschwalbe, Mönchsgrasmücke, Nachtigall, Rabenkrähe, Rauchschwalbe, Ringeltaube, Rotmilan, Star, Stieglitz, Sumpfmeise, Sumpfrohrsänger, Turmfalke, Wacholderdrossel und Zilpzalp
- Überprüfung der Habitatstrukturen
Es liegen folgende umweltbezogene Stellungnahmen aus dem ersten Verfahrensschritt der Beteiligung der Behörden und sonstigen Träger öffentlicher Belange vor:
Schutzgut Pflanzen / Tiere / Artenschutz: Das im Plangebiet gelegene Biotop kann unter Biotopschutz fallen, eine Zerstörung oder sonstige erhebliche Beeinträchtigung ist verboten. Das artenschutzrechtliche Fachgutachten ist zu aktualisieren. Für den Schutz von lichtempfindlichen Tier- und Pflanzenarten ist eine insektenfreundliche Beleuchtung vorzunehmen, auf die Berücksichtigung von Fledermäusen wird verwiesen. Auf dem Feldrain sind der Einsatz von Dünge- und Pflanzenschutzmitteln sowie Entwässerungsmaßnahmen und Erdauffüllungen unzulässig. Das europäische Schutzgebietsnetz „Natura 2000“ und Lebensraumtypen gemäß Anhang 1 der FFH - Richtlinie sind von der Planung nicht betroffen. Auf die als Kompensationsmaßname eingetragenen Hecken im Bereich der Abfall-Sammelstelle wird hingewiesen. Der Bebauungsplan ist auf das zweistufige Normalverfahren umzustellen und um einen Umweltbericht zu ergänzen, die naturschutzrechtliche Eingriffsregelung ist anzuwenden, es sind Maßnahmen zum naturschutzrechtlichen Ausgleich festzuschreiben. Es wird um Prüfung gebeten, weitere Baumstandorte festzusetzen. (Kreisausschuss des Schwalm-Eder-Kreises, AG 60.3 Umwelt, Untere Naturschutzbehörde)
Zu anderen Schutzgütern wurden keine Stellungnahmen abgegeben.
Von Bürgerinnen und Bürgern wurden keine Stellungnahmen abgegeben.
Beteiligung der Öffentlichkeit
Gemäß § 3 (2) BauGB in der Fassung der Bekanntmachung vom November 2017 (BGBl. I S. 3634), das zuletzt durch Artikel 3 des Gesetzes vom 20. Dezember 2023 (BGBl. 2023 I Nr. 394) geändert worden ist, wird hiermit bekannt gemacht, dass die Entwürfe des Bebauungsplanes Nr. 9 „Auf dem Siegen“, 11. Änderung und der 27. Änderung des Flächennutzungsplanes, Gemarkung Zwesten mit Begründungen und Umweltbericht in der Fassung vom Januar 2025 sowie den erstellten Fachgutachten und umweltbezogenen Stellungnahmen in der Zeit vom
10. März 2025 bis zum 11. April 2025
in dem Internet veröffentlicht und unter www.badzwesten.de/aktuelles/amtliche-bekanntmachungen einsehbar sind. Stellungnahmen können während der Dauer der Veröffentlichungsfrist abgegeben werden und sollen elektronisch übermittelt werden, können bei Bedarf aber auch auf anderem Weg abgegeben werden.
Zusätzlich zur Veröffentlichung im Internet liegen die Unterlagen in der Gemeindeverwaltung Bad Zwesten, Ringstraße 1, 1. Obergeschoss, Zimmer 14, während der allgemeinen Dienststunden jeweils Montag und Dienstag 08:00 - 12:00 Uhr, Donnerstag und Freitag 08:00 - 12:00 Uhr sowie Donnerstag von 13:30 -18:00 Uhr zur Einsichtnahme öffentlich aus. Über die Planinhalte wird Auskunft erteilt in der Gemeindeverwaltung Bad Zwesten, Ringstraße 1, 1. Obergeschoss, Zimmer 14.
Wir weisen darauf hin, dass nicht fristgerecht abgegebene Stellungnahmen bei der Beschlussfassung über den Bebauungsplan unberücksichtigt bleiben können und dass ein Antrag nach § 47 Verwaltungsgerichtsordnung unzulässig ist, soweit mit ihm Einwendungen geltend gemacht werden, die vom Antragsteller im Rahmen der öffentlichen Auslegung nicht oder verspätet geltend gemacht wurden, aber hätten geltend gemacht werden können. Nach Prüfung der fristgerecht vorgebrachten Stellungnahmen wird den Beteiligten das Ergebnis mitgeteilt.
Gemäß § 4 b BauGB erfolgt der Hinweis, dass das Verfahren der Beteiligung der Öffentlichkeit sowie der Behörden und sonstigen Träger öffentlicher Belange mit Unterstützung des Planungsbüros Stadtbau+, Borgentreich durchgeführt wird.

Bauleitplanung der Gemeinde Bad Zwesten
11. Änderung des Bebauungsplanes Nr. 9 „Auf dem Siegen“ und 27. Änderung des Flächennutzungsplanes, Gemarkung Zwesten

Bad Zwesten, den 20.02.2025
Der Gemeindevorstand der Gemeinde Bad Zwesten
gez. Achim Siebert
Bürgermeister
Das Vorstehende wird hiermit gemäß § 7 der Hauptsatzung der Gemeinde Bad Zwesten vom 12. Juni 1993 im Mitteilungsblatt öffentlich bekannt gemacht.
Bad Zwesten, den 20.02.2025
Der Gemeindevorstand der Gemeinde Bad Zwesten
gez. Achim Siebert
Bürgermeister

